Anatural disaster can break out any time anywhere. An event which occurs abruptly from a natural process in the world inhabited by human beings is called a natural disaster. Earthquakes, storms, torrential rains, floods, landslides, volcanic eruptions, tsunami tidal waves, drought, peculiar diseases, heatwaves and cold waves are natural disasters.
The Southeast Asia region which is included in Asia Continent has a southwest monsoon and the northeast monsoon, because of which there is enough rainfall, thereby contributing to agriculture. Myanmar faces the Bay of Bengal and the Andaman Sea has enough southwest monsoon. With the rise in temperature in the dry summer, there are also rises in the temperature of the seawater in the Bay of Bengal. As a consequence, the atmosphere has become unstable with low-pressure areas, small storms and cyclones occurring, and they would enter the inner land only to weaken and cease. The Bay of Bengal is a place where the cyclones start. And monsoon ushers in along with the cyclones. The cyclones that commence from the Bay of Bengal will move west and northwestward in the beginning and then move north and northeastward. And sometimes, cyclones will encroach on Myanmar.
As the Rakhine Mountain Range is serving as a natural barrier, cyclones coming from the Bay of Bengal and the Andaman Sea can rarely enter Myanmar. But if they happen to enter Myanmar from the Delta Area or the low land area in the Rakhine coastal area, Myanmar can suffer from dramatic damage.
I come from Sittway, which is, therefore, my native town. Sittway is the main vein of Rakhine State. Additionally, this is a city where the culture of Rakhine has flourished since the foundation of Myanmar Proper. On the East, there flows the Kaladan River (Kissapanadi). On the South, there lies the Bay of Bengal whereas on the West, there flows the Mayyu River. And on the West, there are creeks that join the two river mouths. This is the one and only town in Rakhine State that has wide beaches with no mountains and hills.
Geographically, our town is vulnerable to torrential rains, storms and tidal waves. We have witnessed cyclones, namely Komen, Malar, Giri and Nargis and the one called Nargis hit us the worst in 2008. Cyclone Nargis was the most severe, causing the death of more than 130,000 people with the value of the damage amounting to over US$12.9 billion in toto.
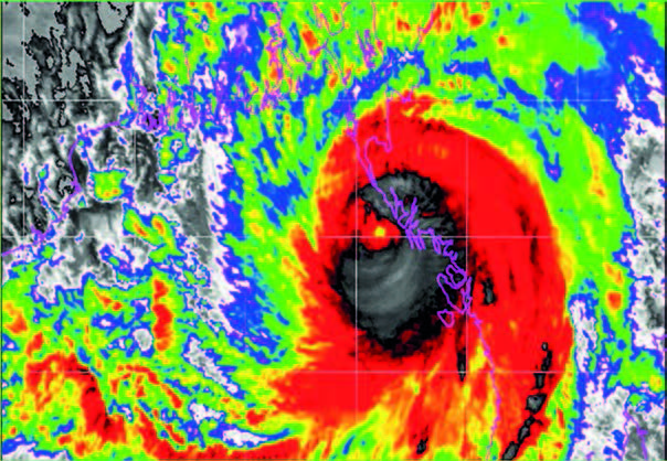
This time, we met with a very severe cyclone called Mocha. There was news that there could arise a low-pressure area in the Bay of Bengal starting from the afternoon of 5th May 2023.
Meanwhile, there was a low-pressure area in the South China Sea. If these two areas are mutually enforced, there can arise the Fujiwhara Effect, which will cause greater damage. Fortunately, however, the low-pressure area in the South China Sea died down on 10 May.
No sooner did the Prime Minister hear the news of the Cyclone Mocha than he ordered the Deputy Prime Minister the Deputy Commnader-in-Chief of Defence Services to hold an emergency work coordination meeting of the Natural Disaster Management Committee. The latter obeyed the former’s order, holding the emergency meeting with the union ministers and the senor military officers in personal attendance while the chief ministers from all regions and states including the chief minister of Rakhine State attended the video conferencing. The meeting has three agendas. The first agendum is concerned with preparation while the second and the third agenda are related to rescue and rehabilitation correspondingly. The Deputy Commander-in-Chief of Defence Services was heard on Myawady TV news to also emphasize the fact that the people are required on their part to join hands with the authorities concerned in making the preparations.
It is found that the ministries are concerned, the region/state governments and the departments involved have made all the necessary preparations nine days in advance, doing the rehearsal exercises and having the relief equipment and support materials ready, for example.
The State Administration Council Chairman on 9 May founded the Disaster Management Centre – DMC with representatives from the respective departments. The prompt action taken by the head of state and the State Administration Council has reflected their love for their country. The storm warnings were issued in the breaking news, reaching the ears of all people across the country. On 11 May, a special warning about the tidal waves was issued, indicating the possible areas of flooding. As a consequence, people from the flood-prone areas have been evacuated. This is the reason why only a very very few lost their lives. It is said only a handful of people were killed in the cyclone.
As directed by the Prime Minister, a red alert warning was issued at 8 pm on 12 May. The following seven townships were announced that they were dangerous – Sittway, Kyaukpyu, Maungtaw, Rathedaung, Manaung, Myebon and Pauktaw. The red alert warning was being issued continuously in the breaking news. The Disaster Management Centre-DMC is closely watching the cyclone round the clock, issuing detailed warnings that there can surge of 10 to 14 feet high tidal waves along the route of the cyclone – Sittway, Pauktaw, Maungtaw, Rathedaung, Myebon and Kyaukpyu, Manaung, Thandwe, Gwa and Hainggyi areas. The loudspeakers and the handheld speakers were used by the responsible personnel from the wards and villages from the townships concerned to alert the local people there.
In this regard, what I would like to point out is that the union government, the local authorities, the people and the Tatmadaw have been united in making systematic preparations with their minds focused on the danger of the storm from the very beginning. It would not be improper to go so far as to say that we have seen the Unity of Myanmar Spirit in this event.
Within an hour after the issuance of the red alert for seven townships in Rakhine State, the local authorities, responsible personnel and Tatmadaw started to take necessary measures to do the evacuation of the victims. They have been seen to have the victims moved to the designated shelters with the help of the storm relief teams formed township-wise. The township emergency relief teams have moved the elderly people living on the riverside, the sick, the children and the pregnant first. There are the relief teams, the chef teams and the medical cover teams at the shelters.
And the people on their part are mostly found to be actively cooperating in taking preparatory measures like tying things that can float, moving things that can be damaged, and moving the cattle, the valuable property and their personal belongings. The Tatmadawmen and the relief teams have also been found to have lent their helping hands to the people in the latter’s movement of things. Thanks to the concerted effort exerted by the government, the Tatmadaw, Myanmar Police Force, the Fire Brigade, the Red Cross Society, the Social Assistance Associations and the people, evacuation to safer places in a short period has been made possible.
As expected, the extremely severe cyclone called Mocha started as Tropical Disturbances in the southwest of Nicobar Island in the southeast of the Bay of Bengal at 18 hours on 7 May. At 0030 hours the next day, it became a low-pressure area, which turned into a depression at 2130 hours on 9 May at about 340 miles south of Port Blair in India. And it turned into a deep depression at 1030 hours on 10 May, then into a severe cyclonic storm at 0630 hours on 11 May, then into a very severe cyclonic storm at 0930 hours on 12 May and finally into an extremely severe cyclonic storm at 0330 hours on 13 May. The cyclone started to touch the coastal area at about 1230 hours on 14 May. The cyclone went past Sittway from near Kyaukpantu in the northwest only to turn into an inland storm in the direction of the northeast. As Sittway falls in the dangerous semicircle, it has suffered the worst. The first track of the cyclone witnessed a storm blowing for one hour at a speed of 60 to 100 miles per hour (mph). Afterwards, it met with a gust of wind at a speed of 130 mph. Luckily, however, the tides were seen only at a height of 3 to 4 feet. Thanks to the united effort exerted by the government, local authorities, people and Tatmadaw, preparations are quite good, and this has made us lucky. The majority of the victims are in the shelters in time. And the storm fall coincides with the time of low water levelling. And the storm surge abated because of the low volume of water. The tides subsided gradually in the evening.
The experts from the Department of Meteorology and Hydrology and the Navy have issued timely warnings from the very beginning. And this has contributed a lot to the reduction of losses and damage as well as the casualties.
Just one day after the storm, the head of state issued an order to clear the aerodromes for the aircraft to be able to land as and where necessary. Only two hours after the issuance of this order, the Y-8 aircraft from the Tatmadaw (Air) landed at the Sittway Airport. On the same day, the aeroplane carrying the head of state on board landed at the Sittway Aerodrome followed by the arrival of other aeroplanes carrying the emergency relief supplies. We are encouraged by the directions given by the SAC Chair, who said, “No citizen is to be left behind in providing the relief.”
Translated.
(TO BE CONTINUED)
#TheGlobalNewLightOfMyanmar
